Các chuyên gia khí tượng cho biết, bão Hải Yến là một cơn bão khổng lồ xuất hiện ở Tây Thái Bình Dương, vừa tràn qua miền trung Philippines, là một cơn bão mạnh nhất trong năm 2013, đe dọa cuộc sống của hàng triệu người và có thể gây ra những thiệt hại vô cùng lớn về người và tài sản.
![]() |
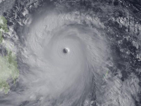
| Cảnh hình thành siêu bão Hải Yến được chụp lại bởi Cơ quan khí tượng MTSAT Nhật Bản.. |
Cơ quan Khí quyển và Đại dương Mỹ (NOAA) ước tính, cơn bão này có sức gió lên đến 200 mph (322 km/h), giật đỉnh điểm tới 225 mph (362 km/h).
Chuyên gia Brian McNoldy tại Đại học Miami đánh giá, siêu bão này được xem là siêu bão thứ 5 mạnh nhất theo thang bão Saffir-Simpson xếp hạng. “Đó là một trong những cơn bão mạnh nhất từng được ghi nhận trên Trái đất”, ông McNoldy nói.
Theo McNoldy phân tích, sỡ dĩ bão Hải Yến có sức mạnh ghê gớm như vậy do có hàng loạt điều kiện dồn nén tác động. Đầu tiên, nó được hình thành trong đại dương, do đó sẽ không có đất liền để ngăn cản việc hình thành và mở rộng mắt bão theo hình tròn xoáy đối xứng, thành phần giúp tạo ra các thành bão và thu thập hơi nước xung quanh.
Thứ hai, nhiệt độ đại dương hiện tại rất ấm, có thể lên tới 86 độ F (30 độ C). Quan trọng hơn, khi nước ấm lan sâu xuống đại dương, nó sẽ làm cho các cơn gió không thể nào khuấy nước lạnh lên được (hiện tượng nước trồi không hình thành) để có thể làm giảm sức mạnh của cơn bão.
Ngược lại, chính nhiệt độ ấm của đại dương lại tăng thêm sức mạnh của bão nhiệt đới vì về cơ bản bão nhiệt đới không khác gì cỗ máy nhiệt khổng lồ được đại dương hỗ trợ truyền nhiệt đẩy vào thượng tầng khí quyển.
Thứ ba, có rất ít gió cắt trong khu vực đại dương vào thời điểm này. Gió cắt có hướng di chuyển ngược chiều và tốc độ giật cao có thể cắt sự phát triển của cơn bão và ngăn không cho cơn bão tăng cường. Gió cắt do gió Tây sinh ra đã trở thành một nguyên nhân chính làm cho các cơn bão trong mùa bão Đại Tây Dương rất mạnh nhưng lại bị dập tắt ngay từ đầu.
Theo hãng tin Met Office News Blog của Anh, bão Hải Yến là cơ bão thứ 11 được tạo thành tại khu vực Tây Thái Bình Dương trong vòng 7 tuần qua nhưng là một cơn bão duy nhất chuyển sang “giai đoạn đặc biệt”.
Chuyên gia McNoldy cho rằng, điều này là hơi bất thường vì đỉnh điểm của mùa mưa bão thường xảy ra khoảng một tháng trước đây. Nhưng lúc đấy, gió cắt trong khu vực hoạt động có khả năng ngăn chặn các cơn bão. Còn bây giờ khu vực này hoạt động trở lại có thể do sự suy yếu của gió cắt và nước biển ấm quá lâu.
Theo tiêu chuẩn thang bão, ở Tây Thái Bình Dương một bão nhiệt đới sẽ trở thành cơn bão khi tốc độ gió của nó đạt đến 74 mph (119 km/h) và thành siêu bão khi gió đạt 150 mph (241km/h), tương đương với bão cấp 4 hoặc cấp 5. Hải Yến là một siêu bão khủng khiếp, nó có thể đổ bộ và còn gây ra động đất chết người 7.1 độ, có thể cướp đi sinh mạng của hàng trăm người.
Theo Dân Việt
