> Ráo riết đối phó siêu bão Utor
![]() |
| Bão Utor tấn công Philippine gây thiệt hại lớn. |
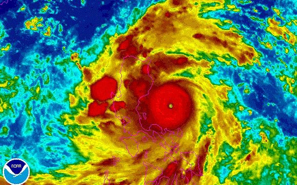
Sức gió của cơn bão mạnh tới 200km/giờ và bắt đầu đi vào vùng biển ngoài khơi đảo Luzon (Philippines) vào sáng ngày 12/8 và tàn phá trong nhiều giờ.
“Đó là cơn bão mạnh nhất mà chúng tôi bắt gặp từ đầu năm đến nay”, dẫn lời nhà khí tượng học Samantha Mohr.
Cơn bão Utor được biết đến ở Philippines với tên gọi là bão Labuyo đã gây ra mưa lớn ở vùng phía tây bắc đảo Luzon và khu vực đồi núi của hòn đảo, gây ra nguy cơ sạt lở đất. Vào chiều ngày 12/8, cơn bão đã bắt đầu suy yếu và đi vào vùng đất liền sau khi tràn qua Biển Đông.
![]() |
| Vùng biển Philippines vào ngày 12/8 sẵn sàng đối phó với cơn bão Utor. |
Tổ chức cứu trợ Philippines đã chuẩn bị mọi tình huống đối phó với bão Utor trong nhiều ngày trước đó và công tác chống chọi với bão khó khăn nhất khi bão đi vào đất liền.
Theo báo cáo, cơn bão Utor hiện đã làm một người thiệt mạng, 20 ngư dân mất tích, 673 ngôi nhà ở tình Aurora, địa phương cơn bão đổ bộ, đã bị thiệt hại.
Cơn bão Utor cũng đã phá hủy gần 80% cơ sở hạ tầng ở thị trấn Casiguran. Toàn bộ khu vực này hiện đang sống trong tình trạng mất điện. Một bệnh viện và đài truyền hình địa phương cũng đã bị hư hại nặng.
Bão Utor là cơn bão nhiệt đới thứ 12 đổ bộ vào Philippines trong năm nay. Theo đánh giá, mỗi năm, nước này phải hứng chịu khoảng 20 cơn bão và gây thiệt hại lớn.
Cuối tháng 12 năm ngoái, cơn bão Bopha đã tàn phá miền nam Philippine và làm gần 2.000 người thiệt mạng, hư hại hơn 200.000 ngôi nhà.
Nguyễn Thủy
Theo CNN, NYTimes

